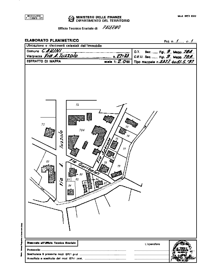
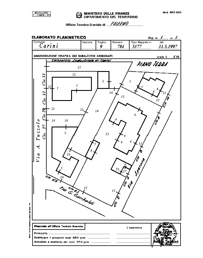
ESEMPI DI ELABORATI PLANIMETRICI

CENTRO INDUSTRIALE E COMMERCIALE.

 

Esempio redatto dal Geom. B. Polizzi

 

image\pol_2_1.gif

 

image\pol_2_2.gif

 

image\pol_2_3.gif

 

image\pol_2_4.gif